11-06-2023 10:45
Viktorie Halasu
Hello, would anyone know, if the second (presumab
12-06-2023 06:09
Juuso ÄikäsThese tiny, loosely attached black balls were grow
11-06-2023 21:08
Juuso ÄikäsI found some Lachnums today growing in a bog. The
11-06-2023 18:51
François BartholomeeusenOn the 9th of june 2023, I found several black, ro
07-06-2023 10:34
Bernard Declercq
Dear all,I am looking for following paper:Hyde, K.
12-03-2013 16:17
Nicolas VAN VOOREN
Bonjour.Je cherche l'article suivant : Parslow, M.
Microthyrium-like on Juniperus
Marc Detollenaere,
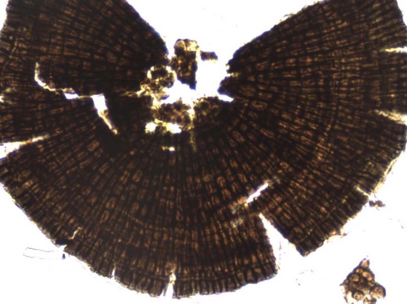
23-06-2023 15:16
Dear forum,On the leaves of Juniperus sp. I found some small black thyriothecia with a diameter of about 0.2-0.25mm. The scutellum was composed of quadrilateral cells radiately arranged. The cells were markedly longer than wide.Asci measured 53x22µ, 8-spored, bi- and triseriate.Spores measured 21.5x8µ , hyaline, 1-septate. Each cell of the spores contained a large guttule and several small ones.
Any help would be appreciated.
Marc
François Bartholomeeusen,
24-06-2023 08:27
Re : Microthyrium-like on Juniperus
Dag Marc,
Seynesiella juniperi is misschien wel de oplossing?
Zie item Piet Bormans http://ascofrance.fr/forum/19328/seynesiella-juniperi
Groeten,
François
Seynesiella juniperi is misschien wel de oplossing?
Zie item Piet Bormans http://ascofrance.fr/forum/19328/seynesiella-juniperi
Groeten,
François
Hi Marc,
Seynesiella juniperi might be the solution?
See item Piet Bormans http://ascofrance.fr/forum/19328/seynesiella-juniperi
Greetings,
François
Marc Detollenaere,
24-06-2023 15:13
Re : Microthyrium-like on Juniperus
Dag François,
Bedankt voor de bijkomende info. Met die sleutel kom ik ook uit op Microthyriaceae.
Aan Seynesiella had ik niet gedacht omwille van de grote guttulen die niet vermeld worden in E&E en omdat ik in de sleutel van de Microthyriaceae gekozen had voor saprotrofe soorten met hyaliene sporen.Seynesiella wordt beschreven als parasiet met licht gekleurde sporen. In een vroegtijdig stadium blijken die echter wel hyalien te zijn.In Dennis ( dank voor de referentie ) staan de grote guttulen wel beschreven.
Alles wijst inderdaad op Seynesiella juniperi.
Marc
Bedankt voor de bijkomende info. Met die sleutel kom ik ook uit op Microthyriaceae.
Aan Seynesiella had ik niet gedacht omwille van de grote guttulen die niet vermeld worden in E&E en omdat ik in de sleutel van de Microthyriaceae gekozen had voor saprotrofe soorten met hyaliene sporen.Seynesiella wordt beschreven als parasiet met licht gekleurde sporen. In een vroegtijdig stadium blijken die echter wel hyalien te zijn.In Dennis ( dank voor de referentie ) staan de grote guttulen wel beschreven.
Alles wijst inderdaad op Seynesiella juniperi.
Marc





