25-02-2023 20:54
Hola.Una probable Peziza localizada tanto sobre ma
25-02-2023 09:24
Marja PennanenHello folks, last september I collected these tin
24-02-2023 19:21
Blue-greeen synnemata up to 0.5 mm high growing on
22-02-2023 13:37
me mandan la muestra seca de Galicia (España) rec
22-02-2023 16:32
Hola.Un presumiblemente hongo parasitando unos eje
22-02-2023 15:37
Dirk GerstnerHello all, What's colouring the wood here? I have
22-02-2023 10:26
Margita KovácsováHello. Could someone please send me this publicati
21-02-2023 20:53
Dirk GerstnerHallo zusammen, ich habe diesen 0,7 - 1,8 mm "Haar
Ayuda con un Pezizal
Josep Torres,
25-02-2023 20:54
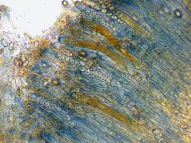
Una probable Peziza localizada tanto sobre madera como sobre hojas muy degradadas del suelo de muy probablemente Rhizophora mangle, en zona pantanosa de Laguna Bávaro (República Dominicana).
Solo 3 apotecios, el mayor de poco más de 8 o 9 mm., de color café ocráceo con forma de disco irregular y con el borde ligeramente levantado.
Excípulo compuesto por solo hifas globosas de gran tamaño.
Células marginales a modo de empalizada, septadas y con el extremo ensanchado.
Himenio con reacción amiloide tanto del tejido interascal como de la pared de los ascos.
Ascos octospóricos, monotunicados, con ligera reacción amiloide del ápice y con uncínulos en su base (Croziers +).
Paráfisis filiformes, prácticamente rectas, septadas, con múltiples gútulas en su interior y ensanchadas en el ápice.
Ascosporas elipsoidales bigutuladas, con unas estrías irregulares dispuestas más o menos paralelamente que no llegan a formar un retículo y con unas medidas de:
(12.4) 13.1 - 16.3 (16.6) × (8.5) 8.7 - 9.8 (10.2) µm
Q = (1.4) 1.5 - 1.7 (1.8) ; N = 40
Me = 15 × 9.3 µm ; Qe = 1.6
Teniendo en cuenta su aspecto y medidas, mi primera opción habría sido la de Peziza ostracoderma, pero no me termina de encajar la microscopía, si solo me remito a los datos microscópicos todo parece encajar con la Peziza pauli, para algunos sinonimizada con la Peziza martinii, pero en este caso no me cuadra el aspecto macroscópico, sin tonos violáceos en ninguno de mis apotecios.
No se si voy bien encaminado.
Cualquier opinión por vuestra parte será bien recibida.
Muchas gracias de antemano.
Saludos cordiales.
Nicolas VAN VOOREN,
26-02-2023 11:41
Re : Ayuda con un Pezizal
Hola Josep.
No idea, but it does not belong to Peziza s. str.
Some features suggest the new genus Elaiopezia... You should sequence this collection.
No idea, but it does not belong to Peziza s. str.
Some features suggest the new genus Elaiopezia... You should sequence this collection.
Josep Torres,
26-02-2023 14:12
Re : Ayuda con un Pezizal
Gracias Nicolás.
En cuanto regrese a España, que será la semana próxima, mando lo poco que me queda a secuenciar, ya lo he exsiccatado.
En cuanto sepa algo ya te informaré.
MUCHAS GRACIAS.
Saludos cordiales.
En cuanto regrese a España, que será la semana próxima, mando lo poco que me queda a secuenciar, ya lo he exsiccatado.
En cuanto sepa algo ya te informaré.
MUCHAS GRACIAS.
Saludos cordiales.























