07-01-2026 10:24
Danny Newman
Pezicula sp. on indet. hardwood Appalachian Highl
09-01-2026 17:41
Arnold BüschlenHallo, F. dilatata wird von vielen Bryoparasiten
09-01-2026 10:08
Blasco Rafael
Hola, en el mismo habitat que la anteriorRetamaDia
08-01-2026 21:22
Blasco Rafael
Hola, He recogido esta muestra de Orbilia sobre Re
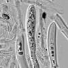
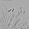
07-01-2026 22:22
Danny Newman
Tatraea sp. on indet. hardwood The Swag, Great Sm
07-01-2026 17:29
Marc Detollenaere
Dear Forum,On a barkless Populus I found some smal
10-11-2021 17:33
Riet van Oosten
Add-on topic http://www.ascofrance.com/forum/7059
07-01-2026 10:05
Danny Newman
cf. Chaetospermum on XylariaCosby Campground, Grea
02-01-2026 17:43
MARICEL PATINOHi there, although I couldn't see the fruitbody, I

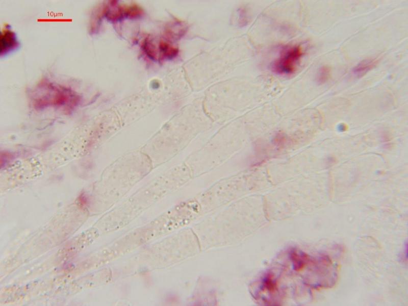
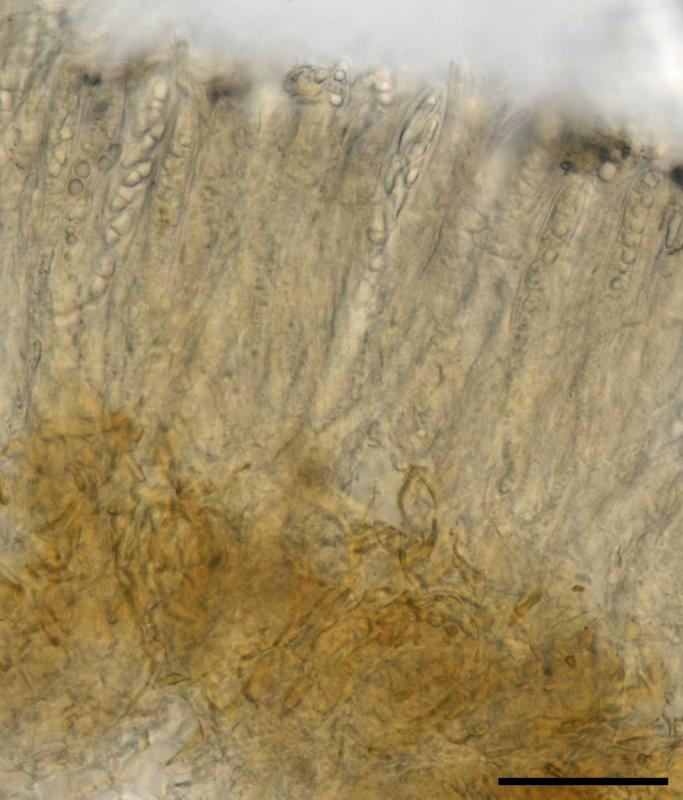
micrographs: Patrick Verdier
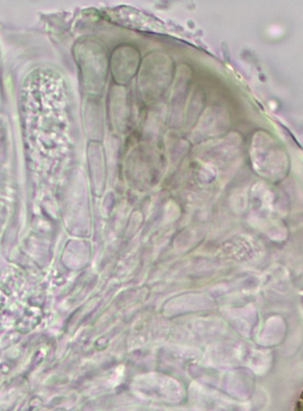
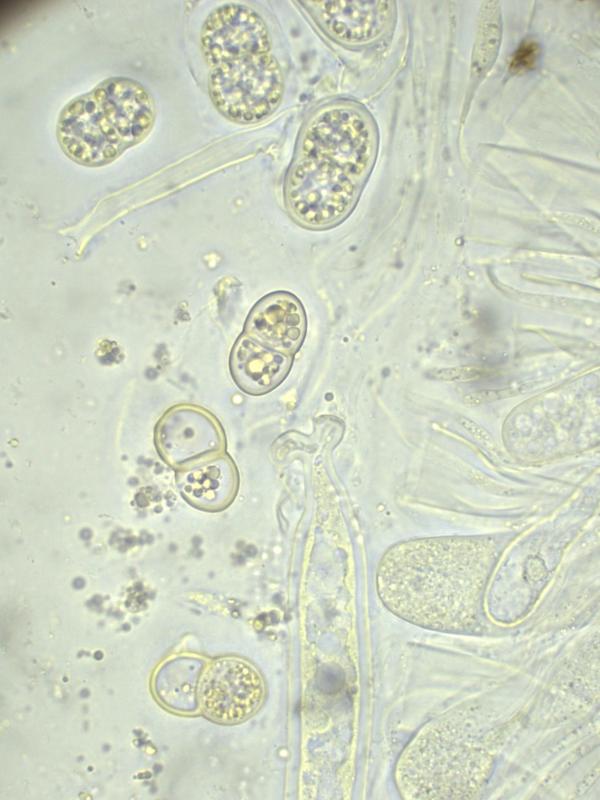
In reference to the Pezicula specimen, there is clearly a mixture of Anamorph and Teleomorph in the specimen. Either they are the same thing, or one is parazitizing the other.
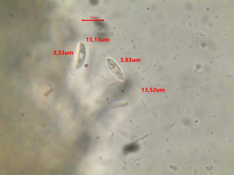
When in isolation, the anamorph appear as individual, regularly shaped beaked pycnidia with long necks. When associated with the teleomorph, they are often branched, distorted and sometimes even appear to "poke through" the apothecia. The apothecia come in either cespitose clusters, or singly in which case they tend to be larger. In certain cases, they appear to grow directly out of the pycnidial "tubes" with a dark melanistic collar at their base. Unfortunately I lack the resources to do good frozen sections to demonstrate this relationship.
Yes, the blue ascal plug is post KOH. I plan to do a series showing the hemiamyloid reaction before and after KOH in the same ascus, also with Melzer's.
I will predict 2 things before doing this:
-The inhibition of the dextrinoid reaction by chloral hydrate can be partially overcome by increasing the iodine concentration well above standard formulas.
-the apical dome will swell causing an apparent elogation of the apical plug
I'm ready to eat crow if I can't demonstrate either of these phenomena.
I will do some additional microscopy of the anamorphs to further characterize the conidia.
-Patrick
Interesting collection! Why not taking a sequence from the pycnidia? And yes, please clarify from where the pictured conidia and conidiophores come.
Regarding hemiamyloid (dextrinoid is the wrong term as it is positive in MLZ without KOH and never turns blue):
Yes, you can transiently observe the red reaction when you add MLZ to a water mount because iodine diffuses faster than chloral hydrate.
I never tested high concentrations of iodine in MLZ, it is a good idea.
The swelling of the apical ring or dome is due to loss of ascus turgescence due to the toxicity of chloral hydrate or KOH. In dead asci (e.g. by mechanical pressure) KOH does not provoke inflation, rather it contracts the ring.
I attach a phylotree of an alignment of mine showing that it is separate from all others.
Zotto
Here are some images from preliminary experiments:
"combo.jpg" stained with 25% chloral hydrate and 1% iodine. The hemiamyloid reaction is clearly visible, but much reduced. It seems like the Chloral hydrate and Iodine "compete" for binding, with the chloral hydrate having a far stronger affinity.
composite.jpg" shows the same specimen, from left to right unstained, IKI only, Langeron Melzer after clearing, and pre-treating with KOH. This was accomplished by sealing the coverslip on the top and bottom and applying the reagents on one side and "wicking" them out on the other. Unfortunately specimens are not focused on the same plane and taken with a 40X dry (plan APO 0.95). Will repeat at some point with an oil objective and more careful focusing.



















Tatraea-12.2025-0001.pdf
