08-01-2026 21:22
Blasco Rafael
Hola, He recogido esta muestra de Orbilia sobre Re
07-01-2026 10:24
Danny Newman
Pezicula sp. on indet. hardwood Appalachian Highl
07-01-2026 22:22
Danny Newman
Tatraea sp. on indet. hardwood The Swag, Great Sm
07-01-2026 17:29
Marc Detollenaere
Dear Forum,On a barkless Populus I found some smal
10-11-2021 17:33
Riet van Oosten
Add-on topic http://www.ascofrance.com/forum/7059
07-01-2026 10:05
Danny Newman
cf. Chaetospermum on XylariaCosby Campground, Grea
02-01-2026 17:43
MARICEL PATINOHi there, although I couldn't see the fruitbody, I
04-01-2026 17:45
Stephen Martin Mifsud
I was happy to find these orange asmocyetes which

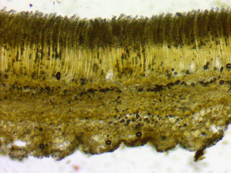
... collected at 20.6.2015 in the National Park of Dovrefjell - wayside on the ground unter Betula and Pinus. The year 2015 had a very long winter, and so it would be possible that "snow fungi" are present, as the most common fungus we found at this journey was Gyromitra esculenta (atypically late).
I have some problems with characters and so am not sure about possible results.
Fist: The spores (they measure about 18-19,5/8,5-9,5 µm) seem to be minutely ornamented to me, finely punctate. It is difficult to bring this "onto the foto" - and there seems to be little staining with CB. Anyway, a trace of ornament ist present as I think.
Second: I am not really sure about the structure of the excipulum. Behind (under) a layer of quite large cells there is a layer that I can only difficultly interpret if it is a "middle textura intricata" or not.
So - as there are a lot of brownish Pezizas I have no security about possible determinations. I imagine P. pseudovesiculosa (but the apothecia were not too large), P. ninguis (I do not find the paraphyses to be monliniform) - or perhaps P. granulosa if I consider the spores to be smooth.
Can somebody provide me with a hint.
Best regards, Lothar
P.S. The first microfoto was taken after the find, the rest today
Hi Zotto,
thank you for your response. Yes, P. arvernensis is in the key (of Hohmeyer 1986 that I used) next to P. pseudovesiculosa - and the affinity to Fagus is considered important. But - why not without Fagus. On the other hand, I find the specimen a bit dark for arvenensis (that I usually know at sites where Fagus logs were freshly cut).
Best regards, Lothar
to simplify the possibilities a bit, P. pseudovesiculosa and pseudosylvestris are now considered synonyms of P. arvernensis. https://www.researchgate.net/publication/313793699_Morphological_and_phylogenetic_clarification_of_Peziza_arvernensis_P_pseudovesiculosa_P_pseudosylvestris_and_P_domiciliana
Viktorie
as you probably have the article I would be glad to receive it. In the abstract stands "monophyletic", not synonymous.
Hello Viktorie,
this is in fact simplifying :-)
So I am much more lucky with the determination P. arvernensis.
I just requested the paper on Research Gate and look forward to read it hopefully soon. As far as I get it, I will send you, Zotto, a copy (if not Viktorie already does this).
Thanks again to you also, Zotto!
Best regards, Lothar











