06-04-2026 21:36
Viktorie Halasu
Hello, could anyone please send me the article wi
06-04-2026 19:40
Help with this one much appreciated, on rotting Fa
06-04-2026 11:07
Louis DENYBonjour forum, Trouvé sur bois de feuillu très d
06-04-2026 16:24
Juuso ÄikäsLast Tuesday I found some tiny white Helotiales gr
05-04-2026 20:40
Robin Isaksson
Hi!Found i Japan on bark of Abies sp. Spores 35-4
06-04-2026 08:15
Lothar Krieglsteiner
some days ago, on the lower surface of leaf of Que
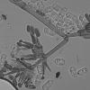
Gliocladium-like fungus
Marc Detollenaere,
26-12-2019 11:34

Dear forum,
Yesterday I found an tree-like anamorph with verticillate branches on decorticated Populus sp.
The elliptiform conidiospores measured 17-22x9µ
Ellis&Ellis and Seifert didn't help me to identify the specimen.
Could anyone help me with this one?
Thanks in advance
Marc

