06-04-2026 21:36
Viktorie Halasu
Hello, could anyone please send me the article wi
06-04-2026 19:40
Help with this one much appreciated, on rotting Fa
06-04-2026 11:07
Louis DENYBonjour forum, Trouvé sur bois de feuillu très d
06-04-2026 16:24
Juuso ÄikäsLast Tuesday I found some tiny white Helotiales gr
05-04-2026 20:40
Robin Isaksson
Hi!Found i Japan on bark of Abies sp. Spores 35-4
06-04-2026 08:15
Lothar Krieglsteiner
some days ago, on the lower surface of leaf of Que
Trichopeziza on wood. Betula?
Mirek Gryc,
03-02-2020 12:52
I have not yet encountered such a species, growing on the decayed wood of Betula.
Maybe someone is known?
Mirek
Hans-Otto Baral,
03-02-2020 13:00
Re : Trichopeziza on wood. Betula?
Hi Mirek
The spores would point to T. subsulphureum, but that species has usually yellow to brown lumps of exudate.
Lasiobelonium populi ined. could be a better choice. Is it possible to ascertain the wood? Did you see the bark, or can you do a radial section for checking the ladder-like pore connctions?
Zotto
Mirek Gryc,
03-02-2020 13:08
Mirek Gryc,
03-02-2020 13:41
Re : Trichopeziza on wood. Betula?
However, I have uncertainty?
During the fall, the tree cracked into three pieces. They all lay in one row. The fattest was stripped of bark, so I photographed the upper one.
The bottom one, which can be seen in the picture, lying slightly to the side, I moved personally. I wanted to see his bottom page.
During the fall, the tree cracked into three pieces. They all lay in one row. The fattest was stripped of bark, so I photographed the upper one.
The bottom one, which can be seen in the picture, lying slightly to the side, I moved personally. I wanted to see his bottom page.
I do not suspect that someone was replacing wood ??
But, next to it was also Populus, only much thicker and older.
In my forest everything is possible, that's why I made cross-sectional and longitudinal sections.
Mirek
Hans-Otto Baral,
03-02-2020 14:48
Re : Trichopeziza on wood. Betula?
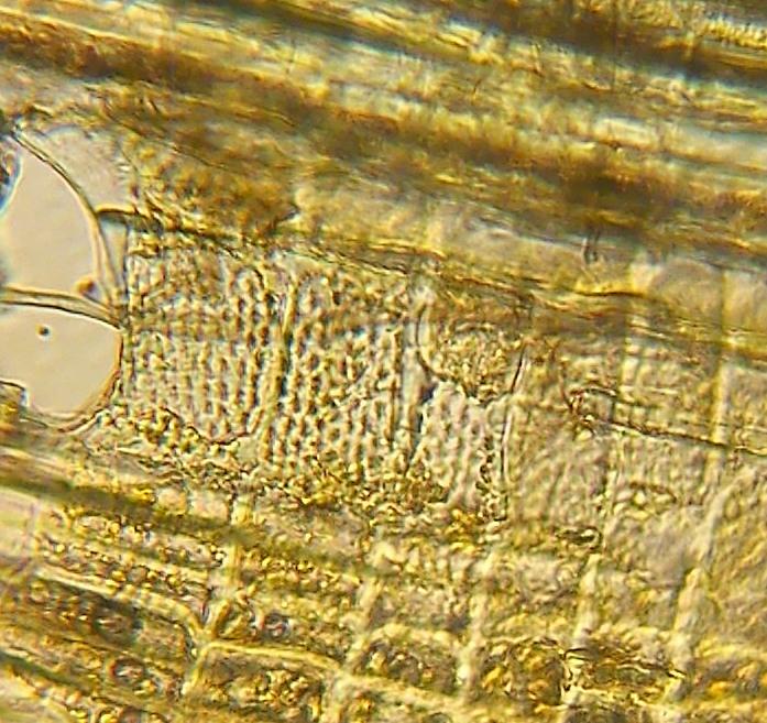
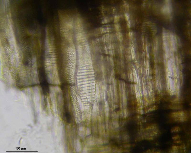
Hmm, from your sections I am not sure. The best to clarify is a radial section in which the pores are hit. What your section shows is only the parenchym fibres. The pores are 3-4-times as wide, and here the connections are important, I attach two photos of Betula. Populus has much larger pits (looking like an eye, third photo).
Mirek Gryc,
03-02-2020 16:44
Hans-Otto Baral,
03-02-2020 16:59
Re : Trichopeziza on wood. Betula?
Yes! So it is clearly not Populus but very probably Betula (Alnus would be another choice, but I don't believe). I would be glad if you send me the collection data.
Mirek Gryc,
03-02-2020 18:58
Hans-Otto Baral,
03-02-2020 21:59
Re : Trichopeziza on wood. Betula?
Thanks!
































