09-04-2026 15:25
Jac GelderblomOn bare soil between mosses Ifound an asco I deter
09-04-2026 13:55
Thomas Læssøehttps://svampe.databasen.org/observations/10589176
09-04-2026 10:12
Thomas Læssøehttps://svampe.databasen.org/observations/10587061
08-04-2026 20:33
Found 07-04-26, in Abies cephalonica. Diameter 1,
08-04-2026 10:39
FRANCIS FOUCHIERBonjour , je recherche en pdf cet article: KORF R
06-04-2026 21:36
Viktorie Halasu
Hello, could anyone please send me the article wi
06-04-2026 19:40
Help with this one much appreciated, on rotting Fa
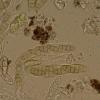
Pyrenomycete on Larix cone
Zuzana Sochorová (Egertová),
16-05-2020 09:55
Hi, this very little pyrenomycete was found in Moravia, on a Larix cone (on the same branch, Lachnellula occidentalis was growing).
Ascospores have 3 transverse septa, are first hyaline and later brownish, and measure 16-22.7 x 6.8-9.2 micrometers, Q = 1.9-2.7.
Asci arise from croziers, are 8-spored, inamyloid, 79-107 x 13-15.5 micrometers.
What could it be? If needed, I will try to make a more detailed microscopy.
Thanks, Zuzana









