10-04-2026 23:22
Gernot FriebesHi,ascospores are 1- to 3-septate, approximately
10-04-2026 15:51
William Slosse
Hello everyone, On 08/04/26, I found a growth sit
09-04-2026 15:25
Jac GelderblomOn bare soil between mosses Ifound an asco I deter
09-04-2026 13:55
Thomas Læssøehttps://svampe.databasen.org/observations/10589176
09-04-2026 10:12
Thomas Læssøehttps://svampe.databasen.org/observations/10587061
08-04-2026 20:33
Found 07-04-26, in Abies cephalonica. Diameter 1,
08-04-2026 10:39
FRANCIS FOUCHIERBonjour , je recherche en pdf cet article: KORF R
Hymenoscyphus(??) avec cristaux sur fruit d'Alnus
Louis DENY,
26-08-2020 21:50
Sur fruit d'Alnus glutinosa, en bordure d'étang très humide. Apothecie blanc crème, jusqu'à 3mm. Pedicellée.
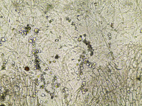
Spores 16X4, deux grosse gouttes et quelques petites, non scutulloides, extrèmités pointues.
Les asques font 80X10, J+, avec un anneau apical qui ne semble pas typique d'hymenoscyphus.
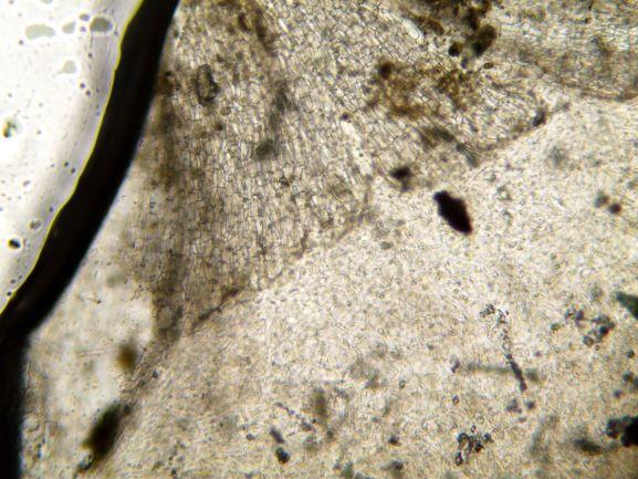
Le plus étonnant est la présence de nombreux cristaux dans l'excipulum
Si vous pouviez m'aider.
Merci d'avance
Hans-Otto Baral,
26-08-2020 21:59
Re : Hymenoscyphus(??) avec cristaux sur fruit d'Alnus
Hello Luis
this sounds like an Ombrophila, is there a gel in the medulla?
Apical ring shape and crystals exclude Hymenoscyphus.
Zotto
Louis DENY,
26-08-2020 22:26
Re : Hymenoscyphus(??) avec cristaux sur fruit d'Alnus
Thanks for the quick answer Zotto.
I will try to find if there is gel in the medulla, (even if I'm not sure to know what it looks like !)
I will try to find if there is gel in the medulla, (even if I'm not sure to know what it looks like !)
Hans-Otto Baral,
27-08-2020 08:12
Re : Hymenoscyphus(??) avec cristaux sur fruit d'Alnus
Ombrophila has usually gelatinous apothecia, you notice that when you try to make a section. But sometimes the gel is few and then sectioning easily works. Indeed it is not easy to make gel visible, but that it is more than water may become obvious when staining with Cresyl Blue for instance, or by the consistency when squashing a section.
Louis DENY,
28-08-2020 18:34
Hans-Otto Baral,
28-08-2020 20:45
Re : Hymenoscyphus(??) avec cristaux sur fruit d'Alnus
I am quite sure there is gel because it is typical of Ombrophila that there are abundant crystals in the medulla together with gel. It may be that the apos are only slightly gelatinous so that it is easy to make sections.
For the species I remember O. rivularis with such spores.

















