10-04-2026 23:22
Gernot FriebesHi,ascospores are 1- to 3-septate, approximately
10-04-2026 15:51
William Slosse
Hello everyone, On 08/04/26, I found a growth sit
09-04-2026 15:25
Jac GelderblomOn bare soil between mosses Ifound an asco I deter
09-04-2026 13:55
Thomas Læssøehttps://svampe.databasen.org/observations/10589176
09-04-2026 10:12
Thomas Læssøehttps://svampe.databasen.org/observations/10587061
08-04-2026 20:33
Found 07-04-26, in Abies cephalonica. Diameter 1,
08-04-2026 10:39
FRANCIS FOUCHIERBonjour , je recherche en pdf cet article: KORF R
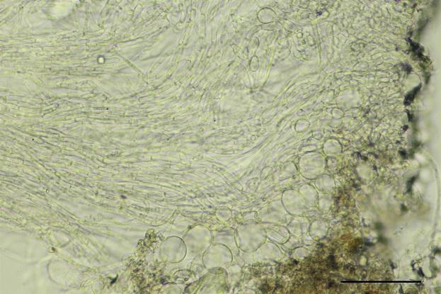
Thecotheus sp, terricola (Esporas apiculadas)
Valencia Lopez Francisco Javier,
01-09-2020 00:45
Tengo estos Thecotheus sp, recolectados en los márgenes de un rio, en el suelo húmedo que deja n las aguas cuando bajan el caudal, en el sur de España.
Apotecios de hasta 3´5mm de diámetro, de turbinados a pulvinados, himenio al principio de color blanco brillante, después débilmente grisáceo por la maduración de las esporas, parte externa concolor con el himenio.
Los caracteres microscópicos quedan reflejados en las fotografías adjuntas.
Tiene cierto parecido con T. pallens, el hábitat terrícola sin presencia de excremento, la distribución de la esporas dentro de las ascas (biseriadas) y las paráfisis de dos tipos es similar en esta especie. El característico apículo esporal, en ocasiones con tres puntas y las esporas ampliamente elipsoidales en esporas maduras creo separan a T. pallens de esta especie.
No tengo ninguna otra idea...
Alguien conoce y puede ayudar??
Saludos
Curro Valencia
Enrique Rubio,
01-09-2020 01:11
Re : Thecotheus sp, terricola (Esporas apiculadas)
Probablemente cercana a Thecotheus phycophilus Pfister, aunque las diferencias con T. pallens no están del todo claras.
Acabamos de estudiar dos recolecciones asturianas de estos hongos.
Te envío literatura.
Saludos
Acabamos de estudiar dos recolecciones asturianas de estos hongos.
Te envío literatura.
Saludos
Michel Delpont,
01-09-2020 08:22
Re : Thecotheus sp, terricola (Esporas apiculadas)
Bonjour Enrique!
Je veux bien aussi cet article si c'est possible; merci beaucoup.
Amitiés.
Michel.
Michel RIMBAUD,
01-09-2020 10:45
Re : Thecotheus sp, terricola (Esporas apiculadas)
Bonjour Enrique,
Je suis aussi intéressé par cet article, peux-tu me l'envoyer stp à
michrimbaud@aol.com
Bonne journée.
Michel R
Je suis aussi intéressé par cet article, peux-tu me l'envoyer stp à
michrimbaud@aol.com
Bonne journée.
Michel R
Enrique Rubio,
01-09-2020 13:16
Re : Thecotheus sp, terricola (Esporas apiculadas)
Here are images from an Asturian collection of Thecotheus phycophilus on ruderalised muddy soil with abundant plant remains
http://www.centrodeestudiosmicologicosasturianos.org/?p=32979Enrique
http://www.centrodeestudiosmicologicosasturianos.org/?p=32979Enrique
Valencia Lopez Francisco Javier,
02-09-2020 01:44
Re : Thecotheus sp, terricola (Esporas apiculadas)
Hola Enrique
Si, tienes razón, muy probablemente esté cmuy cerca deT. Phycophilus, he leído atentamente el trabajo de Bronckers y consultado tu trabajo de la especie en Centro de estudios micológicos asturianos y veo una diferencia clara en el tamaño esporal con la especie que presento, sobre todo en el ancho, presentando en su mayoría las esporas con formas ampliamente elipsoidales, en mi caso ninguna de las treinta esporas que medí bajaron de las 19um de ancho y presentaron una media de 20,7um, tal vez debido al excesivo tiempo que estuvieron madurando en el frigorífico, tampoco he visto ascas con cuatro esporas, todas presentaban ocho, por lo demás cuadra bastante bien con la especie.
Muchas gracias por tu ayuda y los archivos adjuntos.
Un abrazo
Curro
Si, tienes razón, muy probablemente esté cmuy cerca deT. Phycophilus, he leído atentamente el trabajo de Bronckers y consultado tu trabajo de la especie en Centro de estudios micológicos asturianos y veo una diferencia clara en el tamaño esporal con la especie que presento, sobre todo en el ancho, presentando en su mayoría las esporas con formas ampliamente elipsoidales, en mi caso ninguna de las treinta esporas que medí bajaron de las 19um de ancho y presentaron una media de 20,7um, tal vez debido al excesivo tiempo que estuvieron madurando en el frigorífico, tampoco he visto ascas con cuatro esporas, todas presentaban ocho, por lo demás cuadra bastante bien con la especie.
Muchas gracias por tu ayuda y los archivos adjuntos.
Un abrazo
Curro





















