10-04-2026 23:22
Gernot FriebesHi,ascospores are 1- to 3-septate, approximately
10-04-2026 15:51
William Slosse
Hello everyone, On 08/04/26, I found a growth sit
09-04-2026 15:25
Jac GelderblomOn bare soil between mosses Ifound an asco I deter
09-04-2026 13:55
Thomas Læssøehttps://svampe.databasen.org/observations/10589176
09-04-2026 10:12
Thomas Læssøehttps://svampe.databasen.org/observations/10587061
08-04-2026 20:33
Found 07-04-26, in Abies cephalonica. Diameter 1,
08-04-2026 10:39
FRANCIS FOUCHIERBonjour , je recherche en pdf cet article: KORF R
Calycina guttulifera
Thorben Hülsewig,
05-09-2020 10:43
One week ago I could find these small ascomycetes with a Gliocladium sp.
The substrate was a rotten wood in a stream.
Is this Calycina guttulifera ?
best regards,
Thorben
Hans-Otto Baral,
05-09-2020 11:45
Re : Calycina guttulifera
Hallo Thorben
das ist sicherlich was aus dieser Gruppe um "Calycellina" guttulifera oder Didonia carpinacea. Was ich in meinem ordner habe (unter Leptodontidium) ist aber heterogen bezüglich der Jodreaktion als offenbar auch der Form des Apikalrings. Man sollte auch darauf achten, ob die Paraphysensepten basal gehäuft auftreten wie bei HB 5177a, das erinnert stark an L. trabinellum, sodass ich hier eine verwandtschaft mit Leptodontidium sehe.
Tatsächlich fällt aber HB 6787 (die mit rein rotem Apikalring) zu Leptodontidium, aber auch da stehen die Septen recht eng und zahlreich.
Also die Paraphsen gesamthaft abbilden wäre noch gut, ein Medianschnitt sicherlich auch. Wie klein sind denn die Apos, näher kommst du nicht dran?
Wenigstens Nadelholz ausschließen würde ich noch anhand der Holzanatomie.
Zotto
Thorben Hülsewig,
05-09-2020 22:56
Re : Calycina guttulifera
Hallo Zotto,
zu den Apos die sind maximal 1mm groß und leicht gestielt.
Ich habe dazu mal eine Ausschnittvergrößerung angehangen. Größer bekomme ich die Bilder hier nicht ins Forum geladen :/
Bei den Paraphysen konnte ich jetzt nur 2 Septen erkennen, ob da jetzt noch mehr sind kann ich nicht genau sagen. Auf jeden Fall sind da nicht so viele Septen wie bei den Abbildungen HB 5177a und HB 6787.
Ebenfalls habe ich dir Bilder des Holzes beigefügt, wovon ich Nullahnung habe.
Viele Grüße
Thorben
zu den Apos die sind maximal 1mm groß und leicht gestielt.
Ich habe dazu mal eine Ausschnittvergrößerung angehangen. Größer bekomme ich die Bilder hier nicht ins Forum geladen :/
Bei den Paraphysen konnte ich jetzt nur 2 Septen erkennen, ob da jetzt noch mehr sind kann ich nicht genau sagen. Auf jeden Fall sind da nicht so viele Septen wie bei den Abbildungen HB 5177a und HB 6787.
Ebenfalls habe ich dir Bilder des Holzes beigefügt, wovon ich Nullahnung habe.
Viele Grüße
Thorben
Hans-Otto Baral,
06-09-2020 10:03
Re : Calycina guttulifera
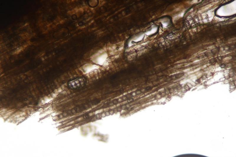
Das Holz könnte Salix sein. Heterogene Markstrahlen sieht man gut auf diesem Radialschnitt. Quer wäre noch hilfreich gewesen, aber cf. Salix ist schon mal gut zu wissen.
Ja, das mit den Septen ist eindeutig, das ist zwar kein sehr konstantes Merkmal, aber kann einen zusätzlichen Honweis geben.
Gerne würde ich die Funddaten aufnehmen, da ich über Leptodontidium einen angefangenen Artikel habe.
Grüße
Zotto
Thorben Hülsewig,
06-09-2020 10:21
Re : Calycina guttulifera
Hallo Zotto,
hier sind die Funddaten:
Fundort: Witten
Fundgebiet: Naherholungsgebiet Hohenstein
Funddatum: 31.08.2020
MTB: 4510 (31)
Viele Grüße
Thorben
hier sind die Funddaten:
Fundort: Witten
Fundgebiet: Naherholungsgebiet Hohenstein
Funddatum: 31.08.2020
MTB: 4510 (31)
Viele Grüße
Thorben










