27-02-2026 11:21
Yannick Mourgues
Hi to all. Here is a specie that can may be relat
18-03-2026 13:09
Khomenko Igor
I recently examined Celtis occidentalis branches
18-03-2026 18:42
Gonzalez Garcia MartaI have collected some lyre-shaped apothecia on the
18-03-2026 17:22
Katarina PastircakovaHi there,I'm looking for the following literature:
27-11-2025 15:41
Thomas LæssøeSpores brownish, typically 4-celled; 26.8 x 2.4;
18-03-2026 11:52
Thomas Læssøehttps://svampe.databasen.org/observations/10493688
11-03-2026 17:36
Michel Hairaud
Bonjour, Je cherche des indices pour cette réc
17-03-2026 10:40
Martine Vandeplanque
Bonjour à tous.Chaque année en mars ou avril, il
17-03-2026 19:41
Bernard CLESSE
Bonsoir à toutes et tous,Pourriez-vous m'aider à
12-03-2026 19:44
Hi to everybody.Can you give me any suggestions ab
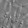
cf. Chaetospermum on Xylaria - 303631739
Danny Newman,
07-01-2026 10:05
cf. Chaetospermum on XylariaCosby Campground, Great Smoky Mountains National Park, Cocke County, Tennessee, USA
https://www.inaturalist.org/observations/303631739
Collected during the 2025 Richard P. Korf Memorial North American Ascomycete Foray (aka "The Korf Foray), held at the Appalachian Highlands Science Learning Center in Purchase Knob, North Carolina.
no sequence available
photo credits: Emma Dombkowski & Rees Cronce
micrographs: Emma Dombkowski & Patrick Verdier
Spores:
(18.7) 18.9 - 20.9 (21.4) × (2.8) 3.1 - 4.4 (4.6) µm
Q = (4.2) 4.6 - 6.5 (7.2) ; N = 20
Me = 20 × 3.7 µm ; Qe = 5.4













