25-03-2026 22:23
Marc Detollenaere
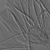
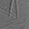
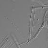
Dear Forum,On a debarked stem of Tilia, we found s
25-03-2026 20:53
François BartholomeeusenDear forum members,On 23 March 2026, I found sever
23-03-2026 20:16
Miguel Ángel Ribes
Good eveningI'm unable to identify this Coprotus o
24-03-2026 15:44
Åge OterhalsI hope someone can confirm the name of this collec
25-03-2026 15:06
Bernard CLESSE
Bonjour à toutes et tous,Pourriez-vous me confirm
25-03-2026 10:35
Hulda Caroline HolteHello,I collected this species growing on a dead b
25-03-2026 13:54
Does anyone know where I could download Paoletti's
25-03-2026 15:46
Michel Hairaud
Bonjour, Je sollicite de l'aide pour cette récol
24-03-2026 19:59
William Slosse
Hello everyone,On 23/03/26, I found the following
21-03-2026 15:13
Lepista ZacariasHello everyone, Does any one know of any literatu
Coccomyces sp. on fallen Rhododendron leavesPretty Hollow Gap Trail, Great Smoky Mountains National Park, Haywood County, North Carolina, USA
https://www.inaturalist.org/observations/305874978
photo credits: Danny Newman
micrographs: Patrick Verdier
sequence forthcoming.
Collected during the 2025 Richard P. Korf Memorial North American Ascomycete Foray (aka "The Korf Foray), held at the Appalachian Highlands Science Learning Center in Purchase Knob, North Carolina.
















