31-03-2026 21:18
Miguel Ángel Ribes
Good evening. oes anyone have the original descrip
31-03-2026 20:57
Stefan BlaserHello everybody, I hope somebody can help me with
26-03-2026 15:31
Åke Widgren
Hello,I found this one in October last year, on r
31-03-2026 16:20
Mlcoch Patrik
Hello, Please about help with determination. On
31-03-2026 08:19
Bernard CLESSE
Bonjour à toutes et tous,Pourriez-vous m'aider à
30-03-2026 12:03
William Slosse
Hello all,On 27/03/26, in Kraaiveld in Wingene (Be
25-03-2026 10:35
Hulda Caroline HolteHello,I collected this species growing on a dead b
Cryptodiscus posible 25-05-19
Blasco Rafael,
27-05-2019 07:46
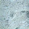
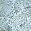
Hola, He recogido estas muestras en ramas de 10--12 mm de rosaceas, hay dos especies juntas,la cara que da al suelo tiene Propolis versicolor var. versicolor, pero la cara que esta al aire tiene una especie diferente, puede ser un cryptodiscus sp.He revisado los generos Cryptodiscus, Stictis, Propoleos, Propolina y Propoloides y no veo nada parecido, posiblemente sea algun otro genero que no conozco.
Largo 1,6 mm x ancho 1 mm
parafisis muy finas x1--x1,3 bifurcadas en apice
esporas con 3 septos en la madured,
ascas 100--110 x 9--10
Crozier presente
Alguna idea de por donde continuar????
Un saludo
Rfaael
Enrique Rubio,
27-05-2019 07:53
Re : Cryptodiscus posible 25-05-19
Hola Rafael
Probablemente Mellitiosporiella pulchella
Saludos
Enrique
Probablemente Mellitiosporiella pulchella
Saludos
Enrique
Blasco Rafael,
27-05-2019 10:52
Re : Cryptodiscus posible 25-05-19
Gracias Enrique, especie totalmente desconocida para mi
Reviso la propuesta
Un saludo
Rfaael
Reviso la propuesta
Un saludo
Rfaael













