11-04-2026 15:45
Zuzana Sochorová (Egertová)
Please, could anyone send me this paper?Moyne G.,
11-04-2026 13:34
Artem PtukhaHello, I am seeking assistance with the identific
11-04-2026 10:19
Michel Hairaud
Chers amis d'Ascofrance , voici une très bonne no
11-04-2026 10:10
Michel Hairaud
Dear Ascofrance members, here is some very good ne
10-04-2026 23:22
Gernot FriebesHi,ascospores are 1- to 3-septate, approximately
10-04-2026 15:51
William Slosse
Hello everyone, On 08/04/26, I found a growth sit
09-04-2026 15:25
Jac GelderblomOn bare soil between mosses Ifound an asco I deter
09-04-2026 13:55
Thomas Læssøehttps://svampe.databasen.org/observations/10589176
09-04-2026 10:12
Thomas Læssøehttps://svampe.databasen.org/observations/10587061
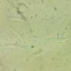
The substrate was a short fragment of a broken shoot. Only nettle grew nearby, but it certainly wasn't. It was probably a raspberry.
The fruiting bodies are small, up to 0.7-0.8 mm max. There were tufted hair on the edge of the fruiting body.
Q = (4) 4.1 - 5 (5.9) ; N = 9
Me = 12.1 × 2.7 µm ; Qe = 4.6
best regards
Mirek
Je pense qu'il s'agit de Pyrenopeziza dilutella.
Andgelo
I suspected it might be Pyrenopeziza but I did not suggest anything because I have never seen fruiting bodies of this type with tufted hair. However, I see similar ones on the Zotto disc. Apparently in this species, mature fruiting bodies are just like that.
Thank you very much!
I didn't know this genre so it's new to me.
best regards
Mirek
Hi Mirek and Andgelo,
Is this a late collection ? I thought the species was rather a spring time one as we found it several times in May-June on this substrate and in mountaineous areas .
Amitiés. Michel
Mirek


















