25-03-2026 10:35
Hulda Caroline HolteHello,I collected this species growing on a dead b
25-03-2026 22:23
Marc Detollenaere
Dear Forum,On a debarked stem of Tilia, we found s
24-03-2026 15:44
Åge OterhalsI hope someone can confirm the name of this collec
25-03-2026 20:53
François BartholomeeusenDear forum members,On 23 March 2026, I found sever
23-03-2026 20:16
Miguel Ángel Ribes
Good eveningI'm unable to identify this Coprotus o
25-03-2026 15:06
Bernard CLESSE
Bonjour à toutes et tous,Pourriez-vous me confirm
25-03-2026 13:54
Does anyone know where I could download Paoletti's
25-03-2026 15:46
Michel Hairaud
Bonjour, Je sollicite de l'aide pour cette récol
24-03-2026 19:59
William Slosse
Hello everyone,On 23/03/26, I found the following
21-03-2026 15:13
Lepista ZacariasHello everyone, Does any one know of any literatu
Selinia pulchra
Joop van der Lee,
12-07-2021 10:06
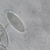
Found this species on the dung of fallow deer.After four days it developed an orange substance on which necks were visible.
It appeared that the fruit bodies were hidden in the substance.
The content of the fruitbody was sticky white and filled with as far as I know unripe spores.
I have not yet been able to measure the asci but they hold 8 spores.
Spores are surrounded by a glatinous layer and are thick walled.
The average spores size is 55.7x26.2 um.
If the information is not enough I will keep an eye on the growing process to see how spores are released and obtain more information about ripe spores.
Joop
Christian Lechat,
12-07-2021 10:23
Re : Unknown asco
Dear Joop,
take a look here: http://www.ascofrance.com/recolte/2066/sordariomycetes-hypocreales-bionectriaceae-selinia-pulchra
Best,
Christian
Michel Delpont,
12-07-2021 12:14
Re : Unknown asco
Absolutely! Species found several times in recent months on cow dung, at altitude in the Alps!
Michel.
Joop van der Lee,
12-07-2021 12:24
Re : Unknown asco
Thanks for the info Christian.
Joop
Joop
Joop van der Lee,
12-07-2021 12:25
Re : Unknown asco
Thanks for the info Michel.
Joop
Joop





