25-03-2026 22:23
Marc Detollenaere
Dear Forum,On a debarked stem of Tilia, we found s
24-03-2026 15:44
Åge OterhalsI hope someone can confirm the name of this collec
25-03-2026 20:53
François BartholomeeusenDear forum members,On 23 March 2026, I found sever
23-03-2026 20:16
Miguel Ángel Ribes
Good eveningI'm unable to identify this Coprotus o
25-03-2026 15:06
Bernard CLESSE
Bonjour à toutes et tous,Pourriez-vous me confirm
25-03-2026 10:35
Hulda Caroline HolteHello,I collected this species growing on a dead b
25-03-2026 13:54
Does anyone know where I could download Paoletti's
25-03-2026 15:46
Michel Hairaud
Bonjour, Je sollicite de l'aide pour cette récol
24-03-2026 19:59
William Slosse
Hello everyone,On 23/03/26, I found the following
21-03-2026 15:13
Lepista ZacariasHello everyone, Does any one know of any literatu
Scutellinia on soil
Marja Pennanen,
19-07-2021 17:49
Hello forum,
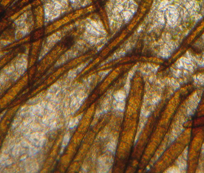
it has been the hottest summer in my lifetime here. Still something is to be found on drying wet places. These Scutellinias grow on a track in forest (mostly Picea) on rich soil (at least it was black ;) ).
The fruitbodies are 1-3 mm wide.
The hairs are brown, 0-3 septate, 100-280x10-25.
The spores have many small warts and are about 15-19x8-10.
I tried to determine with NM1, but because of the simple and short hairs and small spores got no answer to my determination problem.
Hopefully someone here has better knowledge of the beauties: Marja
Nicolas VAN VOOREN,
19-07-2021 18:05
Re : Scutellinia on soil
Hi Marja.
You must show spores in Cotton Blue to see the spore ornamentation. Without this character, it is impossible to help you.
You must show spores in Cotton Blue to see the spore ornamentation. Without this character, it is impossible to help you.
Marja Pennanen,
19-07-2021 19:39
Re : Scutellinia on soil
Dear Nicolas,
why do you make an old womans life harder ;)
I'm horrible in staining, haven't done that for years. But because you said I must, I tried.
Took tens photos, none was a success. Here is the best (size enlarged) and I'm not proud of it.
Hope this is still enough: Marja
Malcolm Greaves,
19-07-2021 21:59
Re : Scutellinia on soil
I will also add to your woes Marja. The details given fit with S torrentis. A feature of this species is that the spore wall should loosen when heated in LCB.
Marja Pennanen,
20-07-2021 07:12
Re : Scutellinia on soil
Hi Malcolm,
what I found from the species seems to fit. It also belongs to the species found from Finland ealier, so it is a strong candidate . Actually I will label it so.
About this LCB. You can put the bar at CB and a short woman may jump over, but when you raise it to LCB, it is too high and not doable (not all ingredients and too complicated) ;)
Thank you: Marja



