25-03-2026 22:23
Marc Detollenaere
Dear Forum,On a debarked stem of Tilia, we found s
25-03-2026 20:53
François BartholomeeusenDear forum members,On 23 March 2026, I found sever
23-03-2026 20:16
Miguel Ángel Ribes
Good eveningI'm unable to identify this Coprotus o
24-03-2026 15:44
Åge OterhalsI hope someone can confirm the name of this collec
25-03-2026 15:06
Bernard CLESSE
Bonjour à toutes et tous,Pourriez-vous me confirm
25-03-2026 10:35
Hulda Caroline HolteHello,I collected this species growing on a dead b
25-03-2026 13:54
Does anyone know where I could download Paoletti's
25-03-2026 15:46
Michel Hairaud
Bonjour, Je sollicite de l'aide pour cette récol
24-03-2026 19:59
William Slosse
Hello everyone,On 23/03/26, I found the following
21-03-2026 15:13
Lepista ZacariasHello everyone, Does any one know of any literatu
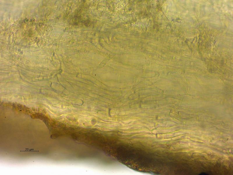
Sur les tiges mortes et les inflorescences de cirse épineux (Cirsium spinosissimum/2'615 m) de l'année précédente, sous des plantes vivantes dans des endroits humides. Apothécies de 1,5 - 4 mm de diamètre, stipitées, nombreuses sur les sclérotes, spores 7 - 12 x 2,5 - 3 µm, lisses, hyalines, asques 81 - 90 x 5 - 6,5 µm, amyloïdes, crochet+, paraphyses droites, remplies de gouttelettes. Merci d'avance.
Elisabeth
Je pense que vous devriez considérer le genre Cyathicula.
Magnifique trouvaille ! J'ai fait dans les Alpes en 2018 un e récolte de Cyathicula avec sclérotes également mais de silhouette macro et spores différentes (mais de taille similaire 8-11(12) x 2,8-3)
ET les asques beaucoup plus courts (45-55x 5-6)
Même type d e paraphyses, bien sur.
Je joins des photos
Amitiés, Michel
merci pour vos avis. Au moins, je sais où il faut la classer. Il n'y a pas de Cyathicula sur sclérotes dans la littérature. La nature nous réserve encore bien des surprises.
Amitiés,
Elisabeth









