18-03-2026 13:09
Khomenko Igor
I recently examined Celtis occidentalis branches
18-03-2026 11:52
Thomas Læssøehttps://svampe.databasen.org/observations/10493688
11-03-2026 17:36
Michel Hairaud
Bonjour, Je cherche des indices pour cette réc
17-03-2026 10:40
Martine Vandeplanque
Bonjour à tous.Chaque année en mars ou avril, il
17-03-2026 19:41
Bernard CLESSE
Bonsoir à toutes et tous,Pourriez-vous m'aider à
12-03-2026 19:44
Hi to everybody.Can you give me any suggestions ab
17-03-2026 10:09
François Freléchoux
Bonjour, Voici la description rapide d'un petit d
05-03-2026 10:07
Hulda Caroline HolteHello, I found and collected this species growing
12-03-2026 15:45
Åge OterhalsDear forum,I found this small discomycete on a ver
Rutstroemia from a Bosnian mountain
Nihad Omerovic,
28-09-2023 22:11
Looking for opinions on this Rutstroemia; I considered R. alnobetulae - spore size, shape and content match, but there's no IKI blue reaction with paraphyses.
Date: 10. 09. 2023.
Habitat/substratum: peat bog fragment around a mountain stream, 1800 m elevation, with Alnus, Salix, Pinus mugo, on a dead twig, possibly from Alnus glutinosa.
Spore size: Me = 26.5 × 6.2 µm ; Qe = 4.3 (some over 28 µm)
Asci: around 170 µm, croziers +
Could not make proper section - ascoma was gelatinous and then kind of squishy.
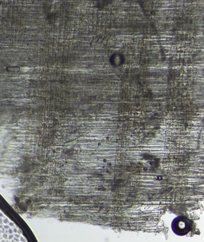
Last picture is twig section.
Hans-Otto Baral,
29-09-2023 09:50
Re : Rutstroemia from a Bosnian mountain
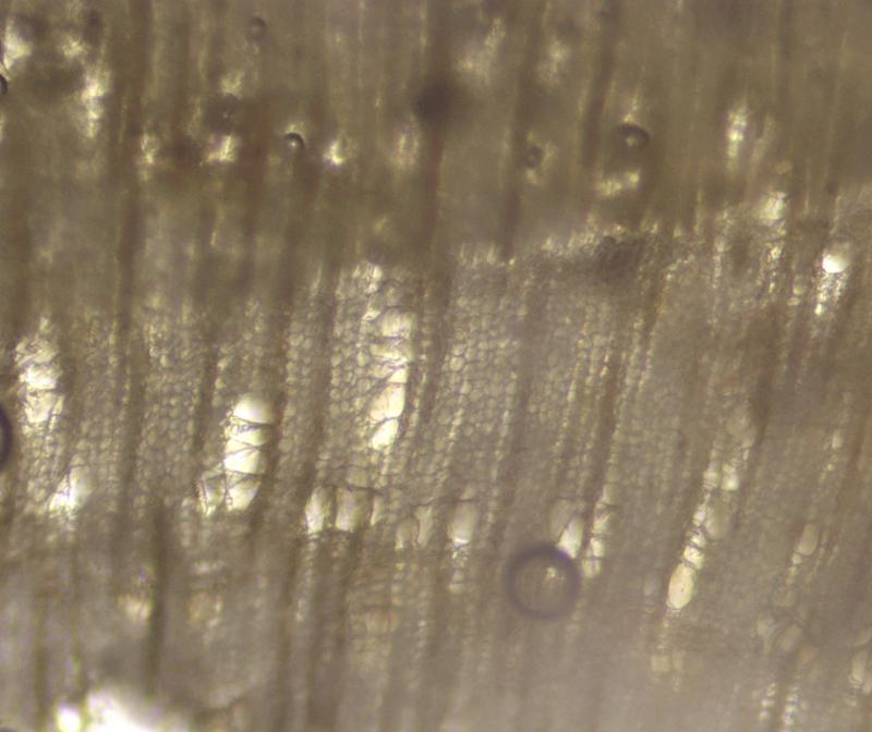
Alnus is the only possible genus among the three trees you mentioned. You can verify it by a radial section by looking for the ladder-like perforations.
Spores etc. fit that species. I am not sure how constant this reaction of the VBs is. The VBs look correct. Also I am not sure if this reaction works on herbarium material.
Hans-Otto Baral,
30-09-2023 20:33
Re : Rutstroemia from a Bosnian mountain
Sorry I failed to say that you must hit the vessels. The rows of larger cells in your cross section show such ladders in radial section. Vessels are often very abundant but here they are more scattered. Bad luck!
Nihad Omerovic,
01-10-2023 19:08
Hans-Otto Baral,
01-10-2023 20:36
Re : Rutstroemia from a Bosnian mountain
Yes it is, very good. So it is clearly a Betulaceae and only Betula comes in consideration besides Alnus.












