05-04-2026 22:46
Lothar Krieglsteiner
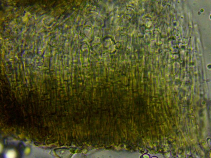
on wood of Ceratonia, Algarve, 3.4.2026.The color
05-04-2026 20:40
Robin Isaksson
Hi!Found i Japan on bark of Abies sp. Spores 35-4
31-03-2026 21:18
Miguel Ángel Ribes
Good evening. oes anyone have the original descrip
31-03-2026 20:57
Stefan BlaserHello everybody, I hope somebody can help me with
26-03-2026 15:31
Åke Widgren
Hello,I found this one in October last year, on r
31-03-2026 16:20
Mlcoch Patrik
Hello, Please about help with determination. On
31-03-2026 08:19
Bernard CLESSE
Bonjour à toutes et tous,Pourriez-vous m'aider à

.. collected by Katharina Krieglsteiner, 18.3.19 on a decorticated, partly inundated branch of deciduous wood (likely Alnus glutinosa) in the Serra Monchique mountains on the North side of the Foia (Algarve, Portugal).
The excipulum and margo (and the appearance) remind me of Durella s.l., but I find no fitting species. Peculiar are the vacuoles in the paraphyses.
The asci are IKI+ (blue) and have croziers. The spores measure about (10)-11,5-12,5-(13,5)/3,5-4,5 µm.
Can somebody provide me with a determination?
Best regards, Lothar












