30-03-2026 12:03
William Slosse
Hello all,On 27/03/26, in Kraaiveld in Wingene (Be
30-03-2026 09:53
Yanick BOULANGERBonjourVoici des petites fructifications poilues s
25-03-2026 10:35
Hulda Caroline HolteHello,I collected this species growing on a dead b
27-03-2026 10:47
Ã…ge OterhalsI have tentatively identified this Stictis to S. f
28-03-2026 07:55
Marc Detollenaere
Hello everybody,Yesterday I found a number of whit
26-03-2026 15:31
Ã…ke Widgren
Hello,I found this one in October last year, on r
27-03-2026 15:23
Gernot FriebesHi,this Trichopezizella deviates from typical T. b
27-03-2026 15:08
Gernot FriebesHi,I'm looking for help with this coelomycete on C
24-03-2026 21:37
Elisabeth StöckliBonsoir,Sur bois (tronc) très pourri de conifère
discomycete on leaves of Sorbus aria
Lothar Krieglsteiner,
07-01-2021 15:37
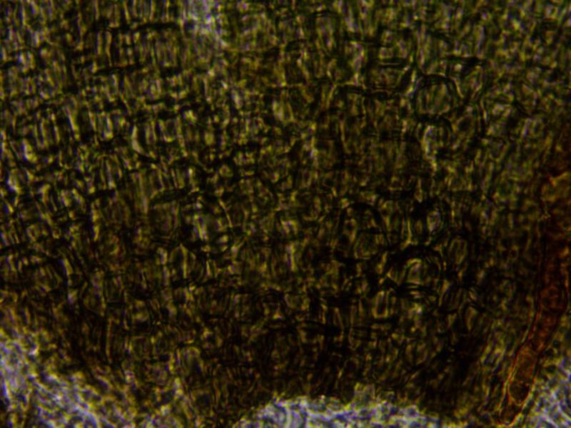
... collected 22.6.20, Slowenia, near Krajnska Gora. First I thought of a Pyrenopeziza, but maybe this could be closer to Durella (??). Does somebody have a more specific idea?Spores 9-11(13)/+-2, Paraphyses 4-6 µm broad, asci about 55-65/4,5-6, with croziers, euamyloid (blue in Baral), Calycina-type.
Best regards, Lothar
Lothar Krieglsteiner,
07-01-2021 15:41
Hans-Otto Baral,
07-01-2021 17:06
Re : discomycete on leaves of Sorbus aria
Hallo Lothar
I would compare this with Pyrenopeziza petiolaris. Durella has a porrecta.
Zotto
Lothar Krieglsteiner,
07-01-2021 17:10
Re : discomycete on leaves of Sorbus aria
ah - really?
I normally know this (from Acer leaves) - but o.k., why not.
Thank you very much and best regards, Lothar
I normally know this (from Acer leaves) - but o.k., why not.
Thank you very much and best regards, Lothar
Hans-Otto Baral,
07-01-2021 17:26
Re : discomycete on leaves of Sorbus aria
Not sure of conspecific but very close. I remember that the species is assumed to be not specific to Acer, and the margin of prismatica would fit.
Lothar Krieglsteiner,
07-01-2021 17:35
Re : discomycete on leaves of Sorbus aria
thanks again. I will name it petiolaris s.l.
L
L




















