24-03-2026 19:59
William Slosse
Hello everyone,On 23/03/26, I found the following
21-03-2026 15:13
Lepista ZacariasHello everyone, Does any one know of any literatu
24-03-2026 21:37
Elisabeth StöckliBonsoir,Sur bois (tronc) très pourri de conifère
24-03-2026 21:07
Ethan CrensonHello all, A friend collected this asco in a wood
23-03-2026 20:16
Miguel Ángel Ribes
Good eveningI'm unable to identify this Coprotus o
24-03-2026 15:44
Åge OterhalsI hope someone can confirm the name of this collec
20-10-2017 09:23
Garcia SusanaEste otro crecía en el mismo trocito de madera qu
Mollisia deuncinata?
Viktorie Halasu,
02-12-2021 08:10
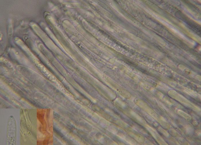
Hello,I have here a large Mollisia (approx. 3 mm, if I remember correctly) from riparian forest, growing in a small wet clearing on the base of decaying Carex cf. riparia. Apothecia light greyish, flat.
Ectal excipulum of light brown globose cells, with hyaline margin. Medulla = t. intricata with some inflated cells.
Spores *(8)8.8-11.6(12.9) × (1.8)1.9-2.2(2.3) um, X = 10.2 × 2.1 um, Q = 4.3-5-5.7 , OCI ca. 1.
No crystals, KOH+, IKI+b, H-.
Can I call it M. deuncinata?
Thank you in advance.
Viktorie
Hans-Otto Baral,
02-12-2021 09:19
Re : Mollisia deuncinata?
I see no reason to doubt this ID. A goos species which needs to be described.
That all pics are upside down has no reason I assume :-)
Viktorie Halasu,
02-12-2021 09:26
Re : Mollisia deuncinata?
Dear Zotto,
thank you for confirmation. Sorry about the pics, just forgot to rotate them (or the section on slide).
In case you ever need the collection data: CZ, Olomouc, Cernovirske slatiniste forest, riparian forest, a wet clearing with tall sedges, cca 49°37'51.8" 17°15'54.2", on the base of decaying Carex cf riparia, leg. 27. IX. 2021. There is a specimen, but it's damaged by a long stay in the fridge and not good for a herbarium.
Viktorie
thank you for confirmation. Sorry about the pics, just forgot to rotate them (or the section on slide).
In case you ever need the collection data: CZ, Olomouc, Cernovirske slatiniste forest, riparian forest, a wet clearing with tall sedges, cca 49°37'51.8" 17°15'54.2", on the base of decaying Carex cf riparia, leg. 27. IX. 2021. There is a specimen, but it's damaged by a long stay in the fridge and not good for a herbarium.
Viktorie
Hans-Otto Baral,
02-12-2021 12:33
Re : Mollisia deuncinata?
O.k., thanks, let's see in some years....
Viktorie Halasu,
02-12-2021 16:26
Re : Mollisia deuncinata?
Zotto, I much appologize for that stupid typo, didn't notice it then.
Hans-Otto Baral,
02-12-2021 16:45
Re : Mollisia deuncinata?
Neither did I ;-)) No problem, you see I am stilol alive.






