24-03-2026 19:59
William Slosse
Hello everyone,On 23/03/26, I found the following
21-03-2026 15:13
Lepista ZacariasHello everyone, Does any one know of any literatu
24-03-2026 21:37
Elisabeth StöckliBonsoir,Sur bois (tronc) très pourri de conifère
24-03-2026 21:07
Ethan CrensonHello all, A friend collected this asco in a wood
23-03-2026 20:16
Miguel Ángel Ribes
Good eveningI'm unable to identify this Coprotus o
24-03-2026 15:44
Åge OterhalsI hope someone can confirm the name of this collec
20-10-2017 09:23
Garcia SusanaEste otro crecía en el mismo trocito de madera qu
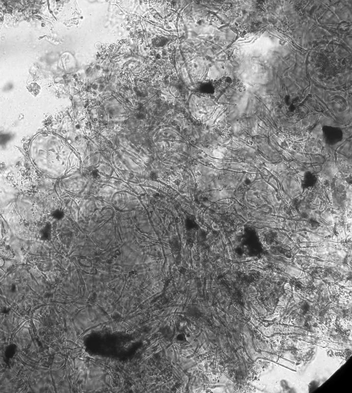
I have another Anthracobia under my lens which was growing on burnt ground with another Anthracobia (A. tristis). This looks like A. nitida , but again and again.... with shorter spores !- Ascocarps bright yellowish-orange (in shade) but vivid in sunlight, hairless to the naked eye, with brown tufts of hair on the lower surface when mature, 2.5-4.5mm across, heaped over each other, sometimes with sunken hymenium
- Asci J-ve without a specialised root/base , operculate
- Spores (13.6) 13.8 - 15.2 (15.5) × (7.6) 7.9 - 9 (9.5) µm
- Paraphyses with poorly to fairly swollen heads, 5um wide, their orange pigment (at upper half) is amyloid and takes a bluish-green colour. Very few split into two heads.
- Ectal excipulum prismatic (-globose) 20-48um across
- Brown tufts of hair at regular intervals on the abaxial surface of the cup consists of parallele rows of 4-6 broadly ellipsoid to rectangular hyphae with the terminal being slightly larger and swollen (20-25 um long). Total length of thse hairs estimated to be 70-110 um
- There seems to be true hairs with thick solid wall 1-septate, the basal part globular. Not sure if these belong to the rhizoids, Rare to find, posibly present only at the base. 80-120um long (only few examined)
Thank you,
Amdy
contact me on info @ maltawildplants.(0/\/\















