23-03-2026 20:16
Miguel Ángel Ribes
Good eveningI'm unable to identify this Coprotus o
20-10-2017 09:23
Garcia SusanaEste otro crecía en el mismo trocito de madera qu
21-03-2026 15:13
Lepista ZacariasHello everyone, Does any one know of any literatu
20-03-2026 16:16
Edvin Johannesen
These 0.5 mm diam. acervuli were breaking through
19-03-2026 19:34
Hello everyone,a few days ago I collected this str
19-03-2026 18:25
William Slosse
Good evening everyone, On 18/03/26 I found a few
17-03-2026 10:09
François Freléchoux
Bonjour, Voici la description rapide d'un petit d
Possible Triblidium caliciforme
Peter Wilberforce,
12-11-2015 12:36
Apothecia very dark, rather leathery, up to 2mm. Apothecial marhin intact, not torn as so often seen in Triblidium. Sections show an epithecium/covering layer of a similar structure to the excipulum. Paraphyses filiform and very numerous. Asci not reacting to Lugol's, they contain a variable number of spores that reach maturity. Spores are up to 28 x 8 and are always muriform,
Any help mucg appreciated.
Hans-Otto Baral,
12-11-2015 12:51
Re : Possible Triblidium caliciforme
Hi Peter
are the asci bitunicate? maybe you could search for rather immature asci and study the apex for the wall thickness.
The apothecia appear to me much smaller, below 1 mm??
The spores remind me of a Tryblidaria but there the apos are usually more elongate-hysteriform.
Zotto
are the asci bitunicate? maybe you could search for rather immature asci and study the apex for the wall thickness.
The apothecia appear to me much smaller, below 1 mm??
The spores remind me of a Tryblidaria but there the apos are usually more elongate-hysteriform.
Zotto
Peter Wilberforce,
13-11-2015 10:31
Hans-Otto Baral,
13-11-2015 10:49
Re : Possible Triblidium caliciforme
Yes, it is bitunicate. The genus Tryblidaria is for me very complex, I did not see it too often, and I have no concept. It seems to be very close to Patellaria. In both genera I see abundant hyaline oleaginous-resinous drops between the paraphyses. It could be that they occur also in your sample, and that they are invisible because of the used mounting medium. Could you perhaps make a preparation in water and show me the upper part of the paraphyses at oil immersion?
Thanks
Zotto
Thanks
Zotto
Chris Yeates,
14-11-2015 21:46
Re : Possible Triblidium caliciforme
Peter has kindly sent me some of this material. These images are from dried material revived in 5% KOH.
I managed to remove one complete apo with little surrounding material; a number of brown muriform spores / conidia were observed, but of course these could just be 'strays'. I also noted that numerous algal cells were closely integrated with the material - again this could be accidental.
cordialement
Chris
I managed to remove one complete apo with little surrounding material; a number of brown muriform spores / conidia were observed, but of course these could just be 'strays'. I also noted that numerous algal cells were closely integrated with the material - again this could be accidental.
cordialement
Chris
Hans-Otto Baral,
14-11-2015 22:10
Re : Possible Triblidium caliciforme
Hi Chris
these light brown are probably the overature stage of the hyaline ones.
The excipulum loosk very much unlike a Patellaria or Tryblidaria.
So i cannot name the genus of this fungus.
Did you also chekc in water for the intercellular drops?
Zotto
these light brown are probably the overature stage of the hyaline ones.
The excipulum loosk very much unlike a Patellaria or Tryblidaria.
So i cannot name the genus of this fungus.
Did you also chekc in water for the intercellular drops?
Zotto
Chris Yeates,
15-11-2015 02:34
Re : Possible Triblidium caliciforme
Thanks for that Zotto
my fault - I should have indicated sizes :(
original fungus - spores (in my sample): 30-33 x 11.2-13.1 (larger measurements than Peter W's, perhaps due to the KOH).
brown spores 16-19.2 x 6.3-7.6µm
Chris
I'll see what I can do in a water mount (rather busy with other things at the moment)
my fault - I should have indicated sizes :(
original fungus - spores (in my sample): 30-33 x 11.2-13.1 (larger measurements than Peter W's, perhaps due to the KOH).
brown spores 16-19.2 x 6.3-7.6µm
Chris
I'll see what I can do in a water mount (rather busy with other things at the moment)
Peter Wilberforce,
15-11-2015 11:55
Re : Possible Triblidium caliciforme
Hello Zotto and Chris
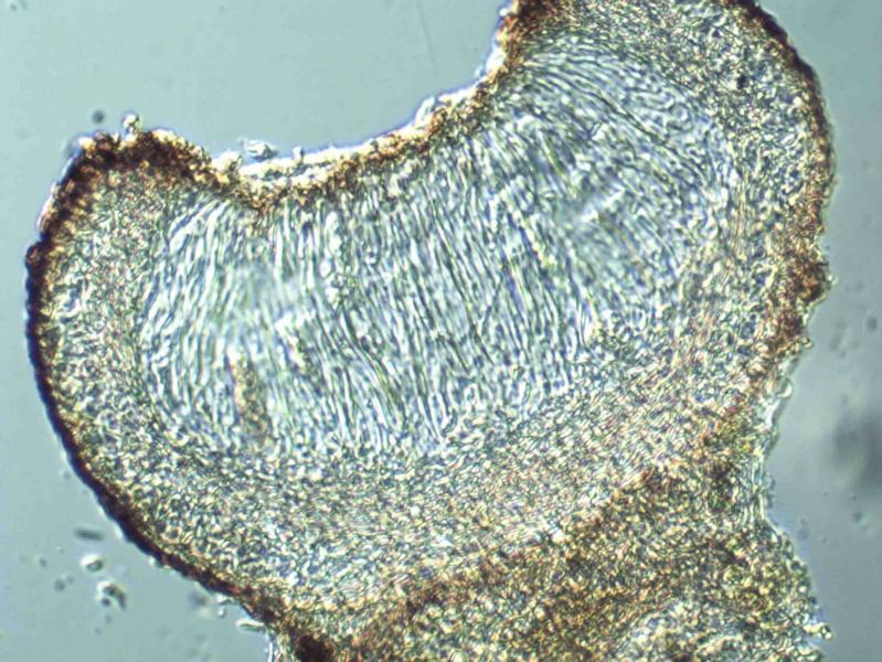
I tried to get a good "squash" in water, but this failed: the excipular structure is very tough and would not squash at all. I tried pre treatment with KOH and then a squash worked fine, but presumably the feature you were looking for dissolved in the KOH. Attached are some photos with a x60 lens which might be useful,
Peter
I tried to get a good "squash" in water, but this failed: the excipular structure is very tough and would not squash at all. I tried pre treatment with KOH and then a squash worked fine, but presumably the feature you were looking for dissolved in the KOH. Attached are some photos with a x60 lens which might be useful,
Peter
Hans-Otto Baral,
15-11-2015 12:00
Re : Possible Triblidium caliciforme
The easiest would be to make a thin section with a razor blade, the apos are not too smal for this. Then the result should be good.
your third photo shows an excellent section, how did you get this?
your third photo shows an excellent section, how did you get this?
Peter Wilberforce,
15-11-2015 12:06
Re : Possible Triblidium caliciforme
Thank you Zotto. The third photo is actually a simple squash after some KOH pre-treatmnet. Do you want me to do more full sections? I use an MSE Basr Sledge with a freezing attachment.
Would you like me to send you the rest of the dried collection?
Regards,
Peter
Would you like me to send you the rest of the dried collection?
Regards,
Peter
Hans-Otto Baral,
15-11-2015 16:17
Re : Possible Triblidium caliciforme
If you could make a further section, I would like to it in water, yes.
When was this collection made? It could well be that the entire apos are still alive if not older than 1-2 months.
When was this collection made? It could well be that the entire apos are still alive if not older than 1-2 months.
Peter Wilberforce,
16-11-2015 15:12
Re : Possible Triblidium caliciforme
Dear Zotto,
I'll see what I can do: most of the apothecia left are rather small. Material was collected on 5 Sepetmber this year.
Thanks.
Peter
I'll see what I can do: most of the apothecia left are rather small. Material was collected on 5 Sepetmber this year.
Thanks.
Peter
Hans-Otto Baral,
16-11-2015 15:49
Re : Possible Triblidium caliciforme
With a bit of luck the material could be alive. I don't think that this species is sensitive to drought, I know of no taxon with muriform spores that does not withstand drying.
1 mm is rather big, freehand sectioning should be possible.
1 mm is rather big, freehand sectioning should be possible.
Peter Wilberforce,
19-11-2015 12:42
Re : Possible Triblidium caliciforme
Hello Zotto,
I have managed to get some decent sections. There are 3 pictures in different lighting conditions, just hope one gives you the information you need.
I have reduced the file size as much as possible, but they may not be accepted onm grounds of being over the limit, If this happens, I'll print out the pictures and send them to you by post.
Many thanks for all your help with this asco.
Kind regards,
Peter
Ascofrance would not accept the images: I'll get them in the post as soon as possible
I have managed to get some decent sections. There are 3 pictures in different lighting conditions, just hope one gives you the information you need.
I have reduced the file size as much as possible, but they may not be accepted onm grounds of being over the limit, If this happens, I'll print out the pictures and send them to you by post.
Many thanks for all your help with this asco.
Kind regards,
Peter
Ascofrance would not accept the images: I'll get them in the post as soon as possible
Hans-Otto Baral,
19-11-2015 12:57
Re : Possible Triblidium caliciforme
Hi Peter
don't print anything, mails carry big data also.
How much MB do they have?
you can attach one to a mail, up to 20 MB.
If you have any program to edit image files you should easily be able to compress or reduce them.
Zotto
don't print anything, mails carry big data also.
How much MB do they have?
you can attach one to a mail, up to 20 MB.
If you have any program to edit image files you should easily be able to compress or reduce them.
Zotto
Chris Yeates,
19-11-2015 14:15
Re : Possible Triblidium caliciforme
Hi Peter
One reason they may be rejected is if they were in .tif format. As Zotto says resizing/compressing shouldn't pose a problem.
You could always Dropbox them to me (no size limit) and I'll do it for you. I think it would be good to make them available to all the ASCOFrance community . . . .
best wishes
Chris
One reason they may be rejected is if they were in .tif format. As Zotto says resizing/compressing shouldn't pose a problem.
You could always Dropbox them to me (no size limit) and I'll do it for you. I think it would be good to make them available to all the ASCOFrance community . . . .
best wishes
Chris
Peter Wilberforce,
19-11-2015 15:24
Re : Possible Triblidium caliciforme
Chris, You are very kind, so pictures sent direct to your email. They are in .jpeg format, but just over the file size limit.
Hope you can get them on the site, as the material was a complete pain to section!
Zotto, when you see them, they are all phorographed in water using various lighting conditions, just hope they are what you want.
Peter
Hope you can get them on the site, as the material was a complete pain to section!
Zotto, when you see them, they are all phorographed in water using various lighting conditions, just hope they are what you want.
Peter
Hans-Otto Baral,
19-11-2015 16:47
Re : Possible Triblidium caliciforme
At this posting rafael shows well the intercellular droplets of Tryblidaria (the same for Patellaria):
http://www.ascofrance.fr/search_forum/34575
http://www.ascofrance.fr/search_forum/34575
Chris Yeates,
19-11-2015 21:47
Hans-Otto Baral,
19-11-2015 22:02
Peter Wilberforce,
22-11-2015 09:42
Re : Possible Triblidium caliciforme
Dear Zotto and Chris,
Just a note to say a big "Thank You" for all the help with trying ti identify this curious ascomycete.
Zotto: do you want the material?
Kind regards,
Peter
Just a note to say a big "Thank You" for all the help with trying ti identify this curious ascomycete.
Zotto: do you want the material?
Kind regards,
Peter
Hans-Otto Baral,
23-11-2015 16:01
Re : Possible Triblidium caliciforme
I think better not. I am totally overloaded.
Paul Cannon,
25-11-2015 10:40
Re : Possible Triblidium caliciforme
Coming to this conversation rather late, but I have a suspicion that this is a lichen, possibly Ramonia nigra. If so that would be interesting as it's a rare (or overlooked) species. I'd be interested to look at the specimen if it's still available.
All good wishes
Paul
All good wishes
Paul
Chris Yeates,
25-11-2015 14:23
Re : Possible Triblidium caliciforme
Hello Paul
that's interesting - as you can see I did comment on the presence of algal cells in my first post (especially evident in the accompanying images #4 and #6).
best wishes
Chris
that's interesting - as you can see I did comment on the presence of algal cells in my first post (especially evident in the accompanying images #4 and #6).
best wishes
Chris
Peter Wilberforce,
25-11-2015 15:23
Re : Possible Triblidium caliciforme
Hellp Paul,
Nice to hear from you. Hope all is well.
I'll send the packet directly to you at the Jodrell Lab at Kew.
This certainly explains the presence of many algal cells under and round the apothecia.
Very kind regards,
Peter
Nice to hear from you. Hope all is well.
I'll send the packet directly to you at the Jodrell Lab at Kew.
This certainly explains the presence of many algal cells under and round the apothecia.
Very kind regards,
Peter
Paul Cannon,
03-12-2015 11:27
Re : Possible Triblidium caliciforme
With help from my good and wise friend Mark Powell, I finally have a species name for this collection. It is a lichen, but not closely related to Ramonia. The species is Leptogium subtile, one of the cyanolichens (which explains the blackish material around the fruit-bodies). L. subtile has a scattered distribution on rotten wood and similar substrata, but appears not to have been collected from Hertfordshire before. Most species of the genus have much larger apothecia, which sent me off in the wrong direction.
All good wishes
Paul
All good wishes
Paul
Hans-Otto Baral,
03-12-2015 11:38
Paul Cannon,
03-12-2015 13:20
Re : Possible Triblidium caliciforme
Certainly a Leptogium, all have strongly blueing asci in Lugol's iodine. Collema is similar but has thalli without an upper layer of fungal cells like you can see in the section. Possibly L. britannicum but apothecia are rare in this species, alternatively L. cochleatum but the spores are described as muriform (not submuriform) and ornamented. Or perhaps it's some exotic species - where was the collection made?
Paul
Paul
Hans-Otto Baral,
03-12-2015 15:45
Re : Possible Triblidium caliciforme
It is from here:
S-France, N of Digne-les-Bains, 910 m alt., 14.8.09, living tree of Quercus pubescens, on bark of trunk in ca. 1.5 m above ground, soc. Proliferodiscus tricolor.
Thanks for your suggestions! I once showed these images to Paul Diederich who suggested the genus.
Did you verify the amyloidity in Peter's sample?
Zotto
S-France, N of Digne-les-Bains, 910 m alt., 14.8.09, living tree of Quercus pubescens, on bark of trunk in ca. 1.5 m above ground, soc. Proliferodiscus tricolor.
Thanks for your suggestions! I once showed these images to Paul Diederich who suggested the genus.
Did you verify the amyloidity in Peter's sample?
Zotto
Paul Cannon,
03-12-2015 15:47
Re : Possible Triblidium caliciforme
Yes, once I found some fresh Lugol the asci stained blue so strongly you could see it through the dissecting microscope....
Hans-Otto Baral,
03-12-2015 16:00
Re : Possible Triblidium caliciforme
O.k., if we had had this info at the beginning then we could have spared some speculation about Tryblidaria, a genus which is always inamyloid :-)
Björn Nordén,
07-03-2022 22:31
Re : Possible Triblidium caliciforme
Check Collemataceae
























